Zones géographiques Nouveautés "in natura" Techniques Index

Identification des Cerambycidae
de Guyane et d'ailleurs...

Collection Frédéric ROBIN

Famille : CERAMBYCIDAE Latreille, 1802  > ZONE NEOTROPICALE  > GUYANE  > Sous-famille : LAMIINAE Latreille, 1825  > Tribu : ACANTHODERINI Thomson, 1860  > 

Acanthoderes daviesii (Swederus, 1787) mle. ♂
Acanthoderes laportei Aurivillius, 1923 fmle. ♀
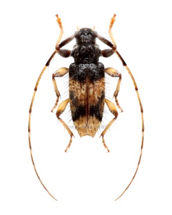
Acanthoderes septemmaculata Buquet, 1859 - fmle. ♀
Acanthoderini sp. R1
Aegomorphus bivittus (White, 1855) fmle. ♀
Aegomorphus hebes (Bates, 1861) mle. ♂
Aegomorphus lateralis (Bates, 1861) mle. ♂
Aegomorphus phasianus (Bates, 1861) mle. ♂
Aegomorphus pigmentatus (Bates, 1861) fmle. ♀
Aegomorphus pseudosatellinus Tavakilian & Néouze, 2013 - mle. ♂
Aegomorphus vetustus (Bates, 1880) fmle. ♀
Aegoschema moniliferum (White, 1855) fmle. ♀
Aegoschema obesum (Bates, 1861) fmle. ♀
Aegoschema peruvianum (Lane, 1973) fmle. ♀
Ateralphus senilis (Bates, 1862)
Catuana spinicornis (Tippmann, 1960) fmle. ♀
Cosmotomidius nigrisetosus Touroult, Tavakilian & Dalens, 2010 - mle. ♂
Cotycicuiara guiana Galileo & Martins, 2012
Cotycicuiara magnifica Galileo & Martins, 2011
Dryoctenes scrupulosus (Germar, 1824) fmle. ♀
Dryoctenes scrupulosus (Germar, 1824) mle. ♂
Eupromerella fuscicollis (Bates, 1861) fmle. ♀
Exalphus aurivillii (Lane, 1970)
Exalphus foveatus (Marinoni & Martins, 1978)
Exalphus lichenophorus (Lane, 1965)
Exalphus malleri (Lane, 1955) fmle. ♀
Exalphus malleri (Lane, 1955) mle. ♂
Formozotroctes toulgoeti Tavakilian & Néouze, 2007
Mundeu maculicollis (Bates, 1861) mle. ♂
Myoxinus pictus (Erichson, 1847) mle. ♂
Myoxomorpha alvarengorum Monné & Magno, 1990 - fmle. ♀
Myoxomorpha funesta (Erichson, 1848)
Myoxomorpha vidua Lacordaire, 1872
Nesozineus amazonicus Martins & Galileo, 2010
Nesozineus kawensis Tavakilian & Néouze, 2013
Octotapnia persona Dalens, 2016 - HOLOTYPE - fmle. ♀
Ozotroctes vassali Tavakilian & Néouze, 2007
Penaherreraus sarryi (Tavakilian & Penaherrera-Leiva, 2003) mle. ♂
Plistonax albolinitus (Bates, 1861) mle. ♂
Plistonax senecauxi Tavakilian & Néouze, 2013 - fmle. ♀
Psapharoctes fanchonae Tavakilian & Néouze, 2007 - fmle. ♀
Pseudaethomerus lacordairei (Bates, 1862) fmle. ♀
Pseudaethomerus lacordairei (Bates, 1862) mle. ♂
Punctozotroctes chemsaki Tavakilian & Néouze, 2007
Scythropopsis boucheri Tavakilian & Néouze, 2013 - fmle. ♀
Sorelia ferruginea (Fuchs, 1964) fmle. ♀
Spinozotroctes thouvenoti Tavakilian & Néouze, 2007 - mle. ♂
Steirastoma breve (Sulzer, 1776) fmle. ♀
Steirastoma breve (Sulzer, 1776) mle. ♂
Steirastoma genisspina Schwarzer, 1923 - fmle. ♀
Steirastoma melanogenys White, 1855 - mle. ♂
SEAG éditions Publications Expéditions Remerciements Liens Me contacter

www.prionia-gf.com - Frédéric Robin © - Tous droits réservés - admin - 239863 Visites